千葉県の新築分譲・注文住宅・デザイナーズハウス・設計/施工/建築はナミカワ不動産にお任せください。
株式会社 ナミカワ不動産・東金店株式会社 ナミカワハウス
0120-16-3955
受付時間:09:00~18:00(水曜日除く)
株式会社 ナミカワ不動産・成東店
0120-36-7667
search
物件を探す
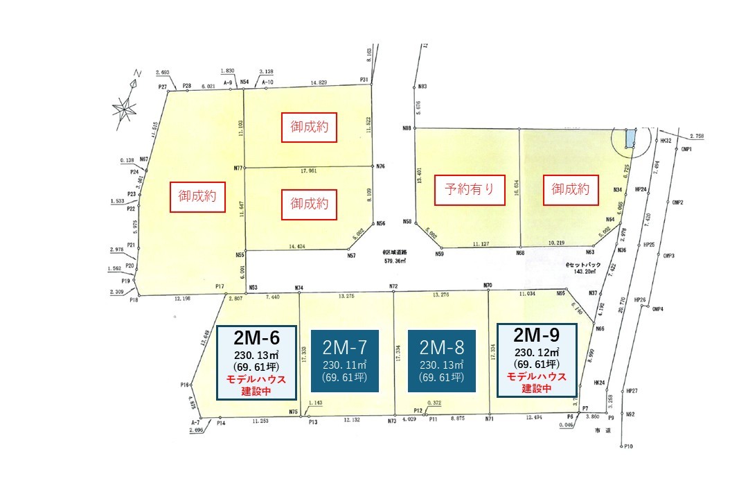
商業施設至近!自然と都市機能が調和した街「山武市成東」:4LDK+3WIC+SIC:成東2M-9
東金レイクサイドヒル八坂台~全465区画の緑豊かな分譲地でナチュラルライフ&田舎暮らし:八坂台5-13-11
スーパーまで徒歩8分!生活利便性に優れた立地:道庭3B-1
生活施設が身近にそろう、のどかで快適な環境:道庭3B-2
国道126号沿いの大型貸テナント:成東第5店舗
上横地№7:2LDK+2WIC:貸家8万円
JR成東駅徒歩10分!敷地面積283坪!:成東№11(建築条件付き売地)
本須賀海岸まで徒歩5分!72.60坪の売地!:山武市本須賀3829-2
山武市松尾町:売地約50坪:緑豊かで閑静な住宅地:松尾町借毛本郷2303-16
本須賀海岸まで徒歩13分!111.01坪の売地!:山武市本須賀3060-3
1500坪越え!旧山武町の資材置き場等にも利用できる:山武市木原24-1他
商業施設・学校から近い。利便性の高い山武市成東の分譲地:成東2M区
Next page
case
View More